Прислать материал

Рысь, волк и лосиное изобилие: Окский заповедник показал зверей в снежном лесу

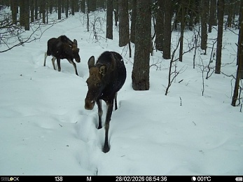
Сотрудники Окского заповедника продолжают делиться снимками, которые сделаны установленными в лесу фотоловушками. В этот раз показали фотографии, запечатлевшие зверей среди сугробов.

В объектив фотоловушки в последние дни зимы и в начале марта попались пушистая рысь, волк, кабан и лисы. Особенно много лосей - их поголовье достаточно велико, а по сугробам передвигаться длинноногим животным удобно.

Видно, что среди снегов натоптаны настоящие тропы - звери пользуются привычными маршрутами. Ранее сотрудники заповедника рассказали, что высокие сугробы дают возможность лосям питаться со всеми удобствами - стало проще дотянуться до веток, с которых сохатые объедают кору. Но не всем так везет - тем, у кого ноги покороче, пробираться через снежные преграды сложно.

Больше новостей в нашем Telegram-канале и в группе ВКонтакте. Подписывайтесь - и будьте в курсе главных событий.

Иллюстрации:  Окский заповедник

служба по контракту